Záhrada Košice -Ťahanovce
- [25.3. 2026]Zmazať/ Upraviť/ Topovať




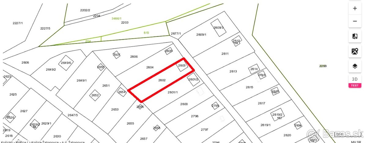
Predám záhradu v osobnom vlastníctve v katastrálnom území Košice - Ťahanovce, záhradkárska lokalita prístupná po ul. Brusnicová. Záhrada má výmeru cca 500 m2. Je na nej murovaná stavba s rozmermi cca 4 x 5 m, ktorá slúži ako chatka na oddych / sklad na náradie / sklad úrody. Na pozemku je úžitková voda na zalievanie (rozvod vody samospádom z cisterny cca 64.000 litrov v správe záhradkárskej organizácie) a elektrická prípojka 220/380 V. Záhrada nie je dlhšiu dobu (cca 8 rokov) obrábaná. V záhrade sú ovocné stromy - jedna veľká čerešňa a cca 8 jabloní rôznych druhov, kríky čiernych ríbezlí a černice. V lokalite prebieha výstavba celoročne obývaných stavieb. Cena 35.000 EUR, rozumná dohoda možná.
|
| |||||||||||||||||||||||||||||||
Kontaktovať inzerenta e-mailom
Kontaktovať e-mailom môže iba overený užívateľ.
Vaše telefónne číslo *
Kontaktovať e-mailom môže iba overený užívateľ.
Vaše telefónne číslo *