Pozemok Lipníky
- [17.3. 2026]Zmazať/ Upraviť/ Topovať










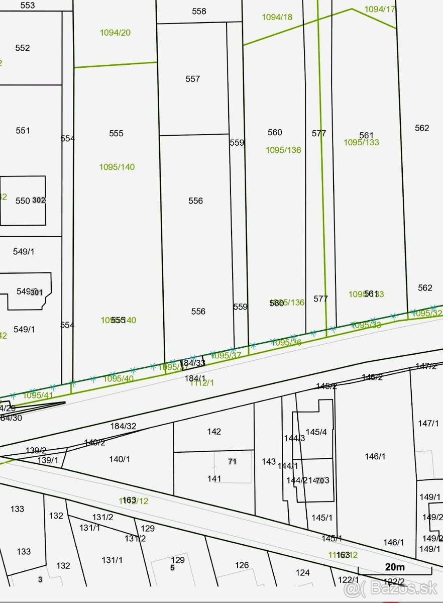
Ponúkam na predaj pozemok na výstavbu RD v obci Lipníky, vzdialenej od krajského mesta Prešov len 10 min. autom.
Celková výmera pozemku je 1157 m², s rozmermi š 19 m x d 60 m.
Prístupová cesta k pozemku je asfaltová.
IS pri pozemku.
Disponujem kladným vyjadrením dopravného inšpektorátu o povolení vjazdu na daný pozemok.
RK nevolať .
Celková výmera pozemku je 1157 m², s rozmermi š 19 m x d 60 m.
Prístupová cesta k pozemku je asfaltová.
IS pri pozemku.
Disponujem kladným vyjadrením dopravného inšpektorátu o povolení vjazdu na daný pozemok.
RK nevolať .
|
| |||||||||||||||||||||||||||||||
Kontaktovať inzerenta e-mailom
Kontaktovať e-mailom môže iba overený užívateľ.
Vaše telefónne číslo *
Kontaktovať e-mailom môže iba overený užívateľ.
Vaše telefónne číslo *