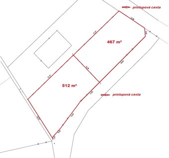
Stavebný pozemok (476 m²)
- [23.2. 2026]Zmazať/ Upraviť/ Topovať




Slnečný stavebný pozemok v pokojnej lokalite tichej štvrte obce o výmere 476 m², šírka pozemku 16 m, 10 km od KNM. Pozemok sa nachádza v intraviláne obce.
|
| |||||||||||||||||||||||||||||||
Kontaktovať inzerenta e-mailom
Kontaktovať e-mailom môže iba overený užívateľ.
Overenie je zadarmo.
Vaše telefónne číslo *
Kontaktovať e-mailom môže iba overený užívateľ.
Overenie je zadarmo.
Vaše telefónne číslo *