Na predaj, pozemok, Rosina, 1500m2
- [22.2. 2026]Zmazať/ Upraviť/ Topovať








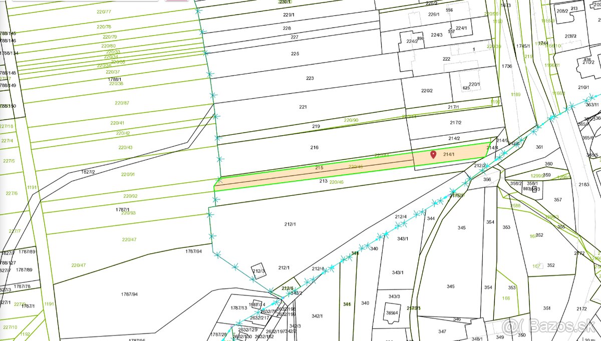
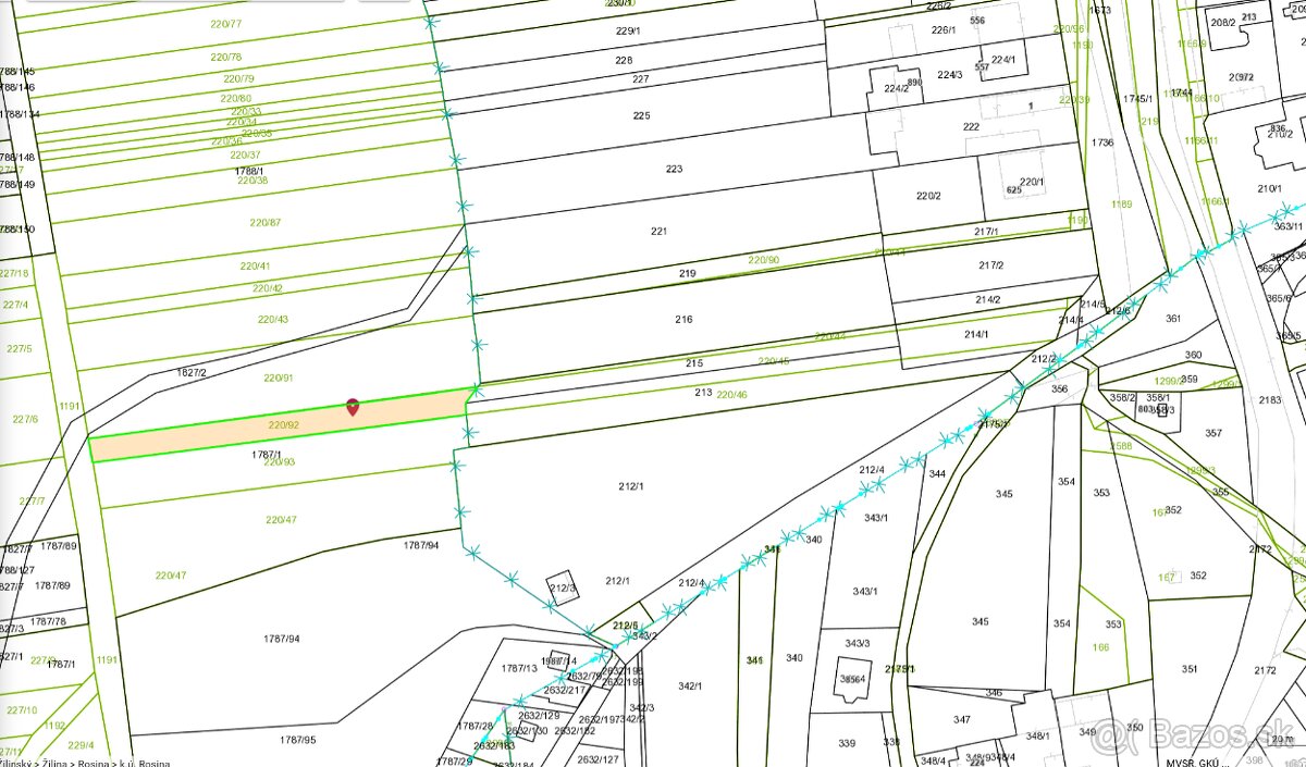
Ponúkam na predaj pozemky vedené ako parcely typu E v obci Rosina.
Pozemky sa nachádzajú v bezprostrednej blízkosti zastavaného územia, rodinných domov a hlavnej cesty
Možné využitie:
záhrada
pestovanie plodín
rekreačné účely
Výmera pozemkov:
952 m² (šírka cca 7 m, dĺžka cca 136 m)
548 m² (šírka cca 6 m, dĺžka cca 90 m)
Predaj len spolu. 14,70 € / m2
Pozemky sa nachádzajú v bezprostrednej blízkosti zastavaného územia, rodinných domov a hlavnej cesty
Možné využitie:
záhrada
pestovanie plodín
rekreačné účely
Výmera pozemkov:
952 m² (šírka cca 7 m, dĺžka cca 136 m)
548 m² (šírka cca 6 m, dĺžka cca 90 m)
Predaj len spolu. 14,70 € / m2
|
| |||||||||||||||||||||||||||||||
Kontaktovať inzerenta e-mailom
Kontaktovať e-mailom môže iba overený užívateľ.
Overenie je zadarmo.
Vaše telefónne číslo *
Kontaktovať e-mailom môže iba overený užívateľ.
Overenie je zadarmo.
Vaše telefónne číslo *