Predám-prenajmem pozemok pri ceste do Pezinka
- [29.1. 2026]Zmazať/ Upraviť/ Topovať

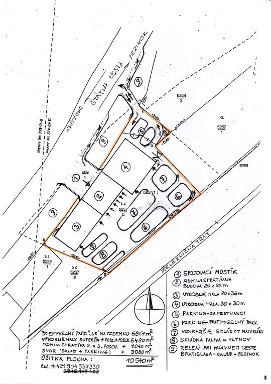
Predám aj prenajmem 6867 m2 pri hlavnej ceste BA-Pezinok
Pozemok pri Bratislave pri hlavnej ceste pred Pezinkom, výmera: 6867 m2 ( 72mx95m) na LV č. 3172, prístup na pozemok od hlavnej cesty JUR-PEZINOK, prístup aj od zadu popri železničnej trati, možno zriadiť trať na pozemok,vhodné na priemyselný park: VÝROBNÉ HALY, SKLADY, GARÁŽE, AUTOBAZÁR aj nákladných vozidiel, PARKING, AUTOSERVIS, VEĽKOOBCHOD, ADMINISTRATÍVU... Inž.siete pri hlavnej ceste. Cena pozemku:340.-€/m2, 0944149690
Pozemok pri Bratislave pri hlavnej ceste pred Pezinkom, výmera: 6867 m2 ( 72mx95m) na LV č. 3172, prístup na pozemok od hlavnej cesty JUR-PEZINOK, prístup aj od zadu popri železničnej trati, možno zriadiť trať na pozemok,vhodné na priemyselný park: VÝROBNÉ HALY, SKLADY, GARÁŽE, AUTOBAZÁR aj nákladných vozidiel, PARKING, AUTOSERVIS, VEĽKOOBCHOD, ADMINISTRATÍVU... Inž.siete pri hlavnej ceste. Cena pozemku:340.-€/m2, 0944149690
|
| |||||||||||||||||||||||||||||||
Kontaktovať inzerenta e-mailom
Kontaktovať e-mailom môže iba overený užívateľ.
Overenie je zadarmo.
Vaše telefónne číslo *
Kontaktovať e-mailom môže iba overený užívateľ.
Overenie je zadarmo.
Vaše telefónne číslo *