Predaj pozemku v BB-Tajov
- [2.1. 2026]Zmazať/ Upraviť/ Topovať














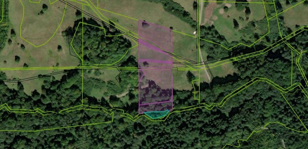
Ponúkam na predaj lukratívny, slnečný pozemok v k. ú. Tajov, neďaleko Banskej Bystrice.
Pozemok je mierne svahovitý, nie je oplotený, prístup k nemu je bezproblémový a momentálne sa nevyužíva.
Voda je na hranici pozemku, elek. prípojka je cca 200 m – 300 m od pozemku.
Pozemok je bez tiarch.
DRUH POZEMKU: trvalý trávnatý porast – výmera: 18557 m2 – pozemok je umiestnený mimo zastavaného územia obce
VYUŽITIE: podnikateľské alebo na iné komerčné účely
CENA : 23 €/m2
V prípade záujmu volajte na t. č.: 0944 548 806
Pozemok je mierne svahovitý, nie je oplotený, prístup k nemu je bezproblémový a momentálne sa nevyužíva.
Voda je na hranici pozemku, elek. prípojka je cca 200 m – 300 m od pozemku.
Pozemok je bez tiarch.
DRUH POZEMKU: trvalý trávnatý porast – výmera: 18557 m2 – pozemok je umiestnený mimo zastavaného územia obce
VYUŽITIE: podnikateľské alebo na iné komerčné účely
CENA : 23 €/m2
V prípade záujmu volajte na t. č.: 0944 548 806
|
| |||||||||||||||||||||||||||||||
Kontaktovať inzerenta e-mailom
Kontaktovať e-mailom môže iba overený užívateľ.
Overenie je zadarmo.
Vaše telefónne číslo *
Kontaktovať e-mailom môže iba overený užívateľ.
Overenie je zadarmo.
Vaše telefónne číslo *
Podobné inzeráty
Slnečný pozemok - Králiky, Banská Bystrica - [14.2. 2026]F032-14-IVKIE
Slnečný pozemok s IS v krásnej prírode Králikov – ideálny na výstavbu chaty či domu.
Hľadáte miesto pre pokojné bývanie alebo víkendové útočisko v prírode, no zároveň s rýchlou dostupnosťou do mesta? Ponúkame vám slnečný pozemok o výmere 5 000 m² v tichej lokalite Králiky pri Banskej ...
200 000 €
Banská Bystrica
976 34
976 34
482 x
Označiť zlý inzerát Chybnú kategóriu Ohodnotiť užívateľa Zmazať/Upraviť/Topovať
🌿Stavebný pozemok v obci Kordíky | 1 117 m² - [13.2. 2026]NA PREDAJ – stavebný pozemok v obci Kordíky | 1 117 m² | možnosť rozdelenia
Ponúkam na predaj slnečný stavebný pozemok o výmere 1 117 m², situovaný v zastavanom území obce Kordíky, v pokojnom prírodnom prostredí s výborným potenciálom pre výstavbu rodinného domu.
📐 Parametre pozemku:
výmera: ...
100 000 €
Banská Bystrica
976 34
976 34
325 x
Označiť zlý inzerát Chybnú kategóriu Ohodnotiť užívateľa Zmazať/Upraviť/Topovať
Predaj pozemku - [5.1. 2026]Na predaj dva slnečné pozemoky v peknom prostredí k.u Kordíky kúsok od Banskej Bystrice / vhodný najmä na oddychovo – rekreačné účely ,alebo chovateľsko -pestovateľské. Výmera pozemkov je 715 m² parcela registra C 407 a 1367 m² parcela registra E 7-452. Väčší pozemok je mierne svahovitý a menší je r ...
20 €
Banská Bystrica
976 34
976 34
291 x
Označiť zlý inzerát Chybnú kategóriu Ohodnotiť užívateľa Zmazať/Upraviť/Topovať
Predáme veľký investičný stavebný pozemok v obci Králiky-BB - [30.12. 2025]Ponúkame na predaj lukratívny, slnečný, mierne svahovitý stavebný pozemok v k. ú. obce Králiky, neďaleko Banskej Bystrice - cca 10 km. Je zahrnutý v územnom pláne obce na výstavbu rodinných domov, rekreačných domov alebo chát, s možnosťou napojenia na IS. Vhodný aj ako investícia.
DRUH POZEMKU
...
149 000 €
Banská Bystrica
976 34
976 34
900 x
Označiť zlý inzerát Chybnú kategóriu Ohodnotiť užívateľa Zmazať/Upraviť/Topovať