Predaj pozemku
- [28.12. 2025]Zmazať/ Upraviť/ Topovať

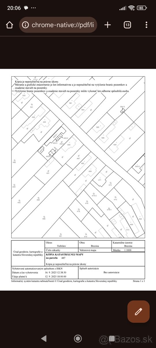
Na predaj pozemok v obci Brezina s rozlohou 2 122m2.
Parcela číslo 487 a 488.
Dohoda možná.
Parcela číslo 487 a 488.
Dohoda možná.
|
| |||||||||||||||||||||||||||||||
Kontaktovať inzerenta e-mailom
Kontaktovať e-mailom môže iba overený užívateľ.
Overenie je zadarmo.
Vaše telefónne číslo *
Kontaktovať e-mailom môže iba overený užívateľ.
Overenie je zadarmo.
Vaše telefónne číslo *