POSLEDNÉ 2 STAVEBNÉ POZEMKY NA PREDAJ 667 m2 - NOVÁ POLHORA
- [15.12. 2025]Zmazať/ Upraviť/ Topovať






















KING REAL Vám EXKLUZÍVNE ponúka na predaj posledné stavebné pozemky o výmere 667 m2 v obci Nová Polhora s priamym napojením na diaľnicu. Vynikajúca poloha medzi najväčšími východnými mestami Košicami a Prešovom.
Tieto 2 pozemky sú vedľa seba, pokiaľ niekto hľadá väčší pozemok je možné ich spojiť.
Spolu ide o výmeru až 1 334m2.
Napojenie na diaľnicu D1 do 1 minúty.
Nová Polhora (20,6 km / 16 min.) do centra Prešova
Nová Polhora (15,6 km / 13 min.) do centra Košíc
ZOZNAM POZEMKOV:
- parc. č. 366/3 – 3000 m2 - PREDANÉ
- parc. č. 366/2 – 1000 m2 - PREDANÉ
- parc. č. 366/1 – 3216 m2 - PREDANÉ
- parc. č. 366/4 – 2200 m2 - PREDANÉ
- parc. č. 385/4 – 881 m2 - PREDANÉ
- parc. č. 384/1 – 1039 m2 - PREDANÉ
- parc. č. 381/2 – 601 m2 - PREDANÉ
- parc. č. 381/1 – 667 m2 - 90 210 EUR (135,24 eur/m2) - VOĽNÉ
- parc. č. 382/1 – 667 m2 - 90 210 EUR (135,24 eur/m2) - VOĽNÉ
- parc. č. 382/2 – 600 m2 - 96 500 EUR (160,83 eur/m2) – REZERVOVANÉ
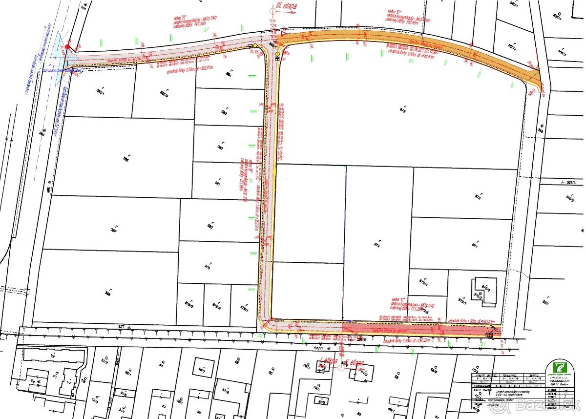
Pozemky sa nachádzajú v novej časti obce, ktorá je určená podľa platného územného plánu na výstavbu 1-2 podlažných rodinných domov. Možná zastavanosť do 30% pozemku.
INFO:
- výmera pozemku od 667 m2 do 1334 m2
- slnečný rovinatý pozemok
- napojenie na obecnú prístupovú parcelu
- na pozemky je aktuálne privedené elek.
- cesta a ostatné IS sú v štádiu riešenie, ktoré ma na starosti občianske združenie
OBČIANSKÉ ZDRUŽENIE:
- občianske združenie z názvom Balka – prístupová cesta, ktoré združuje vlastníci pozemkov v danej lokalite, ktorý sa dohodli na zrealizovaný prístupovej cesty a všetky IS.
OBEC NOVÁ POLHORA PONÚKA DOBRÚ OBČIANSKU VYBAVENOSŤ:
- autobusová zastávka (dobré a rýchle napojenia na PO / KE), MŠ, potraviny, kaderníctvo, bar, kostol, multifunkčné ihrisko, nové futbalové ihrisko a ubytovacie zariadenia
V prípade, že chcete nechať stavbu rodinného domu na odborníkov, KING REAL je tu pre Vás.
Naša vlastná stavebná firma KING REAL sa venuje výstavbe rodinných od roku 2017.
Úspešne sme postavili desiatky rodinných domov.
INFO: www.kingreal.sk/developerske-projekty
V prípade záujmu ma kontaktujte:
Martin Čuha
+421 915 077 726
martin.cuha@kingreal.sk
Tieto 2 pozemky sú vedľa seba, pokiaľ niekto hľadá väčší pozemok je možné ich spojiť.
Spolu ide o výmeru až 1 334m2.
Napojenie na diaľnicu D1 do 1 minúty.
Nová Polhora (20,6 km / 16 min.) do centra Prešova
Nová Polhora (15,6 km / 13 min.) do centra Košíc
ZOZNAM POZEMKOV:
- parc. č. 366/3 – 3000 m2 - PREDANÉ
- parc. č. 366/2 – 1000 m2 - PREDANÉ
- parc. č. 366/1 – 3216 m2 - PREDANÉ
- parc. č. 366/4 – 2200 m2 - PREDANÉ
- parc. č. 385/4 – 881 m2 - PREDANÉ
- parc. č. 384/1 – 1039 m2 - PREDANÉ
- parc. č. 381/2 – 601 m2 - PREDANÉ
- parc. č. 381/1 – 667 m2 - 90 210 EUR (135,24 eur/m2) - VOĽNÉ
- parc. č. 382/1 – 667 m2 - 90 210 EUR (135,24 eur/m2) - VOĽNÉ
- parc. č. 382/2 – 600 m2 - 96 500 EUR (160,83 eur/m2) – REZERVOVANÉ
Pozemky sa nachádzajú v novej časti obce, ktorá je určená podľa platného územného plánu na výstavbu 1-2 podlažných rodinných domov. Možná zastavanosť do 30% pozemku.
INFO:
- výmera pozemku od 667 m2 do 1334 m2
- slnečný rovinatý pozemok
- napojenie na obecnú prístupovú parcelu
- na pozemky je aktuálne privedené elek.
- cesta a ostatné IS sú v štádiu riešenie, ktoré ma na starosti občianske združenie
OBČIANSKÉ ZDRUŽENIE:
- občianske združenie z názvom Balka – prístupová cesta, ktoré združuje vlastníci pozemkov v danej lokalite, ktorý sa dohodli na zrealizovaný prístupovej cesty a všetky IS.
OBEC NOVÁ POLHORA PONÚKA DOBRÚ OBČIANSKU VYBAVENOSŤ:
- autobusová zastávka (dobré a rýchle napojenia na PO / KE), MŠ, potraviny, kaderníctvo, bar, kostol, multifunkčné ihrisko, nové futbalové ihrisko a ubytovacie zariadenia
V prípade, že chcete nechať stavbu rodinného domu na odborníkov, KING REAL je tu pre Vás.
Naša vlastná stavebná firma KING REAL sa venuje výstavbe rodinných od roku 2017.
Úspešne sme postavili desiatky rodinných domov.
INFO: www.kingreal.sk/developerske-projekty
V prípade záujmu ma kontaktujte:
Martin Čuha
+421 915 077 726
martin.cuha@kingreal.sk
|
| |||||||||||||||||||||||||||||||
Kontaktovať inzerenta e-mailom
Kontaktovať e-mailom môže iba overený užívateľ.
Overenie je zadarmo.
Vaše telefónne číslo *
Kontaktovať e-mailom môže iba overený užívateľ.
Overenie je zadarmo.
Vaše telefónne číslo *

