Stavebný pozemok v Haniske (F568-14-ANMi)
- [21.11. 2025]Zmazať/ Upraviť/ Topovať




Typ: Pozemky - bytová výstavba
Ulica: č.d.
Obec: Haniska
F568-14-ANMi
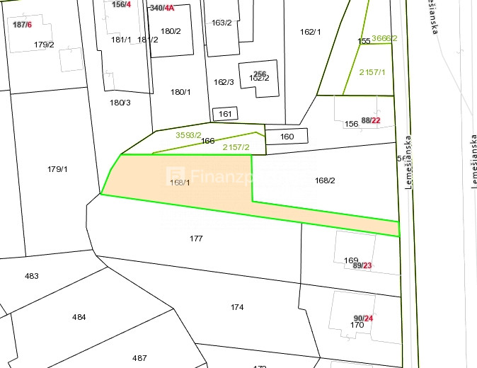
V zastavanej časti, v územnom pláne v Haniske ponúkame stavebný 7- árový pozemok lichobežnikového tvaru o rozmere šírky cca 12m,16m a dĺžky 36m,41m. Prístupová asfaltová cesta - áno. IS pri pozemku, č.p. na vyžiadanie. MHD zastávka 1min.
Kontakt: 0918709021
Cena 103 900 €
Status: aktívne
Vlastníctvo: osobné
Plocha pozemku: 723 m2
El. napätie: 230V
Inžinierske siete: áno
Kanalizácia: áno
Ulica: č.d.
Obec: Haniska
F568-14-ANMi
V zastavanej časti, v územnom pláne v Haniske ponúkame stavebný 7- árový pozemok lichobežnikového tvaru o rozmere šírky cca 12m,16m a dĺžky 36m,41m. Prístupová asfaltová cesta - áno. IS pri pozemku, č.p. na vyžiadanie. MHD zastávka 1min.
Kontakt: 0918709021
Cena 103 900 €
Status: aktívne
Vlastníctvo: osobné
Plocha pozemku: 723 m2
El. napätie: 230V
Inžinierske siete: áno
Kanalizácia: áno
|
| |||||||||||||||||||||||||||||||
Kontaktovať inzerenta e-mailom
Kontaktovať e-mailom môže iba overený užívateľ.
Overenie je zadarmo.
Vaše telefónne číslo *
Kontaktovať e-mailom môže iba overený užívateľ.
Overenie je zadarmo.
Vaše telefónne číslo *