Predám pozemky v oblasti Kanaš- územný plán mesta Veľký Šari
- [18.11. 2025]Zmazať/ Upraviť/ Topovať






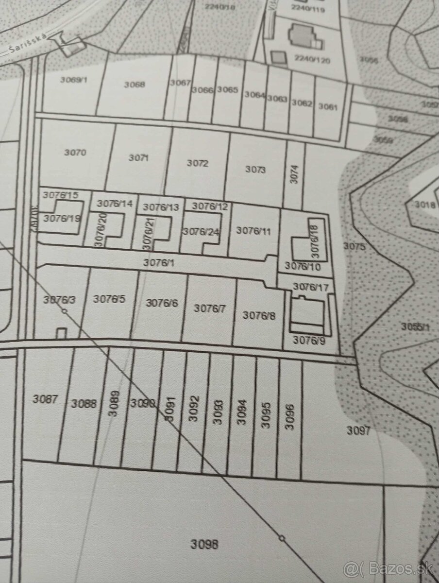
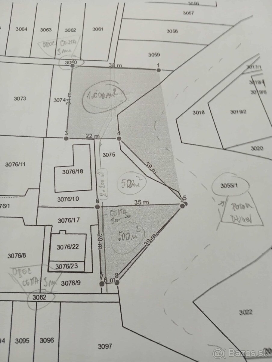
Predám pozemky v oblasti Kanaš- územný plán mesta Veľký Šariš -SordokI.
Parcela číslo 3075 o výmere 2299 m2
Parcela číslo 3097 o výmere 1922m2. Cena za m2 - 50€.
Predaj môže byť v celku, alebo po castiach . Možnosti delenia viď nákres. Prístupová cesta nespevnena 3m obecná. Pozemky susedia z potokom. Kanalizácia na pozemkoch. El. transformator , vodovod na ceste cca 50m vzdialený . V susedstve prebieha výstavba domov.
Parcela číslo 3075 o výmere 2299 m2
Parcela číslo 3097 o výmere 1922m2. Cena za m2 - 50€.
Predaj môže byť v celku, alebo po castiach . Možnosti delenia viď nákres. Prístupová cesta nespevnena 3m obecná. Pozemky susedia z potokom. Kanalizácia na pozemkoch. El. transformator , vodovod na ceste cca 50m vzdialený . V susedstve prebieha výstavba domov.
|
| |||||||||||||||||||||||||||||||
Kontaktovať inzerenta e-mailom
Kontaktovať e-mailom môže iba overený užívateľ.
Overenie je zadarmo.
Vaše telefónne číslo *
Kontaktovať e-mailom môže iba overený užívateľ.
Overenie je zadarmo.
Vaše telefónne číslo *