ÚZEMNÉ ROZHODNUTIE pre bytovú výstavbu Zvolen
- [13.11. 2025]Zmazať/ Upraviť/ Topovať


















V exkluzívnom zastúpení majiteľa Vám ponúkame na predaj pozemok o výmere 3.682 m2 v širšom centre mesta Zvolen, ktorý je územným plánom určený pre výstavbu bytových domov a AKTUÁLNE BOLO VYDANÉ ÚZEMNÉ ROZHODNUTIE.
Predmetný pozemok je rovinatý, nezastavaný stavbami, pripravený na realizáciu investičného zámeru budúceho majiteľa. Pri pozemku sa nachádzajú všetky potrebné inžinierske siete. Prístup na pozemok je zabezpečený priamo cez verejnú miestnu spevnenú komunikáciu.
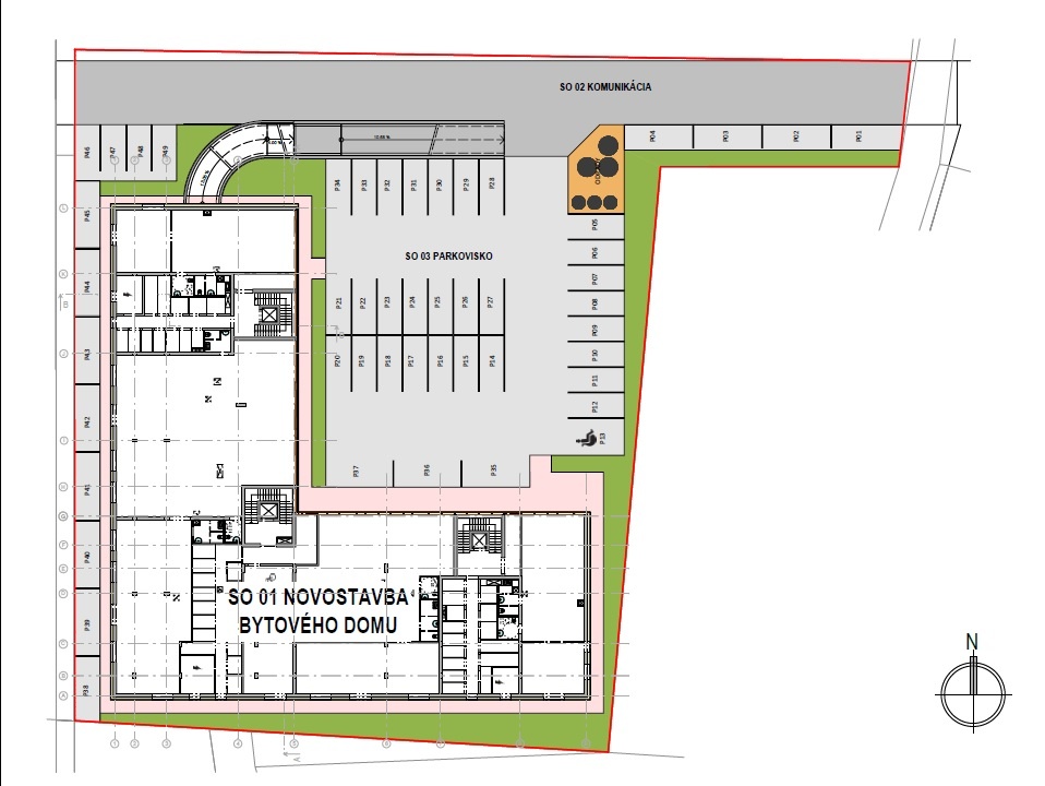
Na parcelu je VYDANÉ ÚZEMNÉ ROZHODNUTIE a vypracovaná architektonická štúdia pre polyfunkčný bytový dom, v rámci ktorej je plánovaných približne 50 bytov, komerčné priestory, viac ako 100 podzemných a vonkajších parkovacích miest a pivnice. Obsahom tejto štúdie sú najmä situácie, pohľady, vizualizácie, pôdorysy jednotlivých podlaží a bytov, a podobne.
Parcela sa nachádza v zastavanom území mesta, v atraktívnej lokalite Rákoš. V bezprostrednej blízkosti stoja novostavby bytových domov. Centrum mesta je dostupné len 2 minúty autom alebo 10 minútovou pešou vzdialenosťou. V blízkosti sa nachádza kompletná občianska vybavenosť, množstvo zelene ako aj obľúbený cyklochodník popri Hrone.
Cena pozemku je 180€/m2 bez DPH.
Pre viac informácií alebo záujmu o osobnú obhliadku nás neváhajte kontaktovať e-mailom, prípadne telefonicky.
Túto nehnuteľnosť, ako aj ďalšie v ponuke našej spoločnosti si môžete pozrieť na stránke www.k4reality.sk
Vizualizácie bytového domu nám poskytlo Štúdio Nivera - www.nivera.sk
Predmetný pozemok je rovinatý, nezastavaný stavbami, pripravený na realizáciu investičného zámeru budúceho majiteľa. Pri pozemku sa nachádzajú všetky potrebné inžinierske siete. Prístup na pozemok je zabezpečený priamo cez verejnú miestnu spevnenú komunikáciu.
Na parcelu je VYDANÉ ÚZEMNÉ ROZHODNUTIE a vypracovaná architektonická štúdia pre polyfunkčný bytový dom, v rámci ktorej je plánovaných približne 50 bytov, komerčné priestory, viac ako 100 podzemných a vonkajších parkovacích miest a pivnice. Obsahom tejto štúdie sú najmä situácie, pohľady, vizualizácie, pôdorysy jednotlivých podlaží a bytov, a podobne.
Parcela sa nachádza v zastavanom území mesta, v atraktívnej lokalite Rákoš. V bezprostrednej blízkosti stoja novostavby bytových domov. Centrum mesta je dostupné len 2 minúty autom alebo 10 minútovou pešou vzdialenosťou. V blízkosti sa nachádza kompletná občianska vybavenosť, množstvo zelene ako aj obľúbený cyklochodník popri Hrone.
Cena pozemku je 180€/m2 bez DPH.
Pre viac informácií alebo záujmu o osobnú obhliadku nás neváhajte kontaktovať e-mailom, prípadne telefonicky.
Túto nehnuteľnosť, ako aj ďalšie v ponuke našej spoločnosti si môžete pozrieť na stránke www.k4reality.sk
Vizualizácie bytového domu nám poskytlo Štúdio Nivera - www.nivera.sk
|
| |||||||||||||||||||||||||||||||
Kontaktovať inzerenta e-mailom
Kontaktovať e-mailom môže iba overený užívateľ.
Overenie je zadarmo.
Vaše telefónne číslo *
Kontaktovať e-mailom môže iba overený užívateľ.
Overenie je zadarmo.
Vaše telefónne číslo *
Podobné inzeráty
Pozemok Borová Hora, Podborová Zvolen - [15.11. 2025]Predám pozemok o rozlohe 964m2 vo Zvolene, mestská časť Podborová, ulica Borovianska. Pozemok tvoria dve záhrady so záhradnou chatkou. Na pozemku sa nachádza stavba - záhradná chatka so súpisným číslom. Parcela registra “C” o rozlohe 964m2, z toho 952m2 evidované ako záhrada a 12m2 evidované ako zas ...
75 000 €
Zvolen
960 01
960 01
53 x
Označiť zlý inzerát Chybnú kategóriu Ohodnotiť užívateľa Zmazať/Upraviť/Topovať
Predaj stavebných pozemkov na pomedzí Zvolena a B. Bystrice - [15.11. 2025]V blízkosti obce Veľká Lúka okres Zvolen ponúkam na predaj novovybudované stavebne pozemky s výmerou od 525 do 970 m2 . V cene pozemku je elektrická , vodovodná prípojka a prístupová cesta. Jednotlivé parcely majú vyčlenenú zastavanú plochu s výmerou 147 m2 s povolením na výstavbu - právoplatné stav ...
220 €
Zvolen
960 01
960 01
27 x
Označiť zlý inzerát Chybnú kategóriu Ohodnotiť užívateľa Zmazať/Upraviť/Topovať
Predaj pôdy v tesnej blízkosti intravilánu obce Zvolen - [15.11. 2025]V rôznych častiach extravilánu Zvolena, avšak v tesnej blízkosti zastavanej časti mesta ponúkam na odpredaj poľnohospodársku pôdu. Jedná s o oblasť Zvolen západ - Čierne zeme, Rákoš, Podborová - Borový potok a Bakova jama. K niektorým parcelám poskytnem aj územno plánovaciu informáciu mesta Zvolen. ...
5 €
Zvolen
960 01
960 01
20 x
Označiť zlý inzerát Chybnú kategóriu Ohodnotiť užívateľa Zmazať/Upraviť/Topovať
Stavebný pozemok 1828 m2 Zvolen obec Kalinka-Slatinské Lazy - [14.11. 2025]Stavebný pozemok Zvolen obec Kalinka - Slatinské Lazy ( časť Lohyňa) na predaj. Váš nový domov alebo investičná príležitosť!
Máte sen o vlastnom mieste, kde môžete spustiť svoju víziu do reality? Tento pozemok vám ponúka neobmedzené možnosti a skvelú polohu, ktorá vám umožní žiť v súlade s príro ...
49 900 €
Zvolen
960 01
960 01
40 x
Označiť zlý inzerát Chybnú kategóriu Ohodnotiť užívateľa Zmazať/Upraviť/Topovať
PODBOROVÁ Investičný stavebný pozemok 17833 m² BOROVIA - oby - [14.11. 2025]Na predaj atraktívny pozemok s celkovou výmerou 17833 m², (75,- €/m2) ideálny pre developerský projekt výstavbu rodinných domov alebo rezidenčného bývania. Viac informácií v RK alebo na telefónnom čísle +421 905 285 610
Predáme aj Vašu nehnuteľnosť. Pomôžeme Vám pri príprave nehnuteľnosti na p ...
1 337 475 €
Zvolen
960 01
960 01
37 x
Označiť zlý inzerát Chybnú kategóriu Ohodnotiť užívateľa Zmazať/Upraviť/Topovať
Investičná príležitosť Pozemky na predaj 31 124 m2, Zvolen - [14.11. 2025]Exkluzívne Vám ponúkame možnosť získať pozemky o celkovej rozlohe 31 124 m2 v atraktívnej lokalite, pri Strážskej ceste vo Zvolene (nad spoločnosťou CONTINENTAL), ktorá je ideálna pre rozvoj rôznych projektov. Približná šírka pozemku je 70 m, dĺžka 433 m. V prípade záujmu vieme zabezpečiť ...
1 711 820 €
Zvolen
960 01
960 01
22 x
Označiť zlý inzerát Chybnú kategóriu Ohodnotiť užívateľa Zmazať/Upraviť/Topovať
Pozemok 11 600 m2 na predaj, Zvolen - [14.11. 2025]Investičná príležitosť ! Exkluzívne ponúkame na predaj rozľahlý pozemok (tzv. Čierne zeme) o celkovej výmere 11 600 m2 v zastavanom území mesta Zvolen. Pozemok sa nachádza za známou Rezidenciou HRON. V územnom pláne mesta Zvolen je určený na IBV. Inžinierske siete v dosahu. Kúpna ce ...
Dohodou
Zvolen
960 01
960 01
22 x
Označiť zlý inzerát Chybnú kategóriu Ohodnotiť užívateľa Zmazať/Upraviť/Topovať
Predaj komerčného pozemku 17 042 m2, Zvolen - Môťová - [14.11. 2025]Zaujímavá investičná príležitosť v meste Zvolen – časť Môťová !
Ponúkame na predaj dva pozemky v priemyselnej zóne vo Zvolene, časť Môťová, s nasledovnými výmerami: 6 980 m² (zastavaná plocha a nádvorie), 10 062 m² (zastavaná plocha a nádvorie). V prípade záujmu je možné pozemky odpredať aj samosta ...
937 310 €
Zvolen
960 01
960 01
18 x
Označiť zlý inzerát Chybnú kategóriu Ohodnotiť užívateľa Zmazať/Upraviť/Topovať
Predaj pozemku 11 115 m2, Zvolen - Sarvaška - [14.11. 2025]Investičná príležitosť ! Exkluzívne ponúkame na predaj pozemky v lukratívnej časti Zvolen -Sarvaška. Jedná sa o dva pozemky vedľa seba o výmere 4148 m2 a 3925 m2, druh pozemku : trvalý trávny porast. Ďalšie dva vedľa stojace pozemky sú o výmere 1472 m2 a 1570 m2, druh pozemku : orná pôda. P ...
Dohodou
Zvolen
960 01
960 01
29 x
Označiť zlý inzerát Chybnú kategóriu Ohodnotiť užívateľa Zmazať/Upraviť/Topovať
Pozemky na predaj, Dolná Kolónia, Zvolen - [14.11. 2025]Ponúkame na predaj pozemky v časti Dolná kolónia Zvolen. Výmera je 3.222 m2. Kúpna cena dohodou.
Pre viac informácií nás kontaktujte.
Predáme aj Vašu nehnuteľnosť. Pomôžeme Vám pri príprave nehnuteľnosti na predaj. Zabezpečíme vypracovanie profesionálnych kúpnych zmlúv, znaleckého posudku, vybav ...
Dohodou
Zvolen
960 01
960 01
22 x
Označiť zlý inzerát Chybnú kategóriu Ohodnotiť užívateľa Zmazať/Upraviť/Topovať