Investičný pozemok 28 249 m² neďaleko Trnavy na predaj
- [12.11. 2025]Zmazať/ Upraviť/ Topovať
















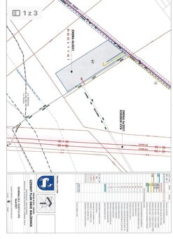
Ponúkame na predaj veľký investičný pozemok o výmere 28 249 m², nachádzajúci sa v obci Malženice, okres Trnava. Pozemok je vedený ako zastavaná plocha a nádvorie a je situovaný mimo zastavaného územia obce, v chránenej vtáčej oblasti.
Základné informácie:
Parcelné číslo: 1304/1
Výmera: 28 249 m²
Druh pozemku: Zastavaná plocha a nádvorie
Spôsob využívania: Pozemok, na ktorom je dvor
Územný plán: Výrobný, skladový a technický areál
Územnoplánovacie podmienky:
Pozemok je vhodný pre výrobné a skladové areály, technoparky, administratívne objekty alebo obchodné a servisné zariadenia.
Možnosť realizácie novej obecnej kompostárne alebo technickej infraštruktúry (areál ČOV).
Povolené sú aj odstavné parkovacie miesta.
Podmienka minimalizácie negatívnych vplyvov na životné prostredie (napr. výsadba drevín po obvode).
Neprípustné funkcie: bývanie, stravovanie, šport, rekreácia, občianska vybavenosť.
Výhody:
Výborná investičná príležitosť v strategickej lokalite v blízkosti Trnavy.
Prístupová komunikácia a dostupnosť infraštruktúry.
Pozemok vhodný pre developerské projekty v oblasti výroby, skladovania alebo technickej infraštruktúry.
Pre viac informácií a obhliadky nás neváhajte kontaktovať!
Základné informácie:
Parcelné číslo: 1304/1
Výmera: 28 249 m²
Druh pozemku: Zastavaná plocha a nádvorie
Spôsob využívania: Pozemok, na ktorom je dvor
Územný plán: Výrobný, skladový a technický areál
Územnoplánovacie podmienky:
Pozemok je vhodný pre výrobné a skladové areály, technoparky, administratívne objekty alebo obchodné a servisné zariadenia.
Možnosť realizácie novej obecnej kompostárne alebo technickej infraštruktúry (areál ČOV).
Povolené sú aj odstavné parkovacie miesta.
Podmienka minimalizácie negatívnych vplyvov na životné prostredie (napr. výsadba drevín po obvode).
Neprípustné funkcie: bývanie, stravovanie, šport, rekreácia, občianska vybavenosť.
Výhody:
Výborná investičná príležitosť v strategickej lokalite v blízkosti Trnavy.
Prístupová komunikácia a dostupnosť infraštruktúry.
Pozemok vhodný pre developerské projekty v oblasti výroby, skladovania alebo technickej infraštruktúry.
Pre viac informácií a obhliadky nás neváhajte kontaktovať!
|
| |||||||||||||||||||||||||||||||
Kontaktovať inzerenta e-mailom
Kontaktovať e-mailom môže iba overený užívateľ.
Overenie je zadarmo.
Vaše telefónne číslo *
Kontaktovať e-mailom môže iba overený užívateľ.
Overenie je zadarmo.
Vaše telefónne číslo *