RealityKolesár predáva pozemok 543m2 Bidovce KE okolie
- [8.11. 2025]Zmazať/ Upraviť/ Topovať




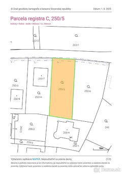
RealityKolesár predáva pozemok 543 m2, Bidovce, KE okolie
Pozemok 543 m2 sa nachádza v starej časti medzi domami v obci Bidovce s elektrickou prípojkou na pozemku, na ceste sa nachádza kanál aj vodovod. Šírka pozemku 16 m hĺbka 34 m. Do centra obce je kúsok.
Cena: 84.900,-€. V prípade záujmu volajte, píšte 0905 872 096 – Ladislav Kovács, lkovacske@gmail.com
Pozemok 543 m2 sa nachádza v starej časti medzi domami v obci Bidovce s elektrickou prípojkou na pozemku, na ceste sa nachádza kanál aj vodovod. Šírka pozemku 16 m hĺbka 34 m. Do centra obce je kúsok.
Cena: 84.900,-€. V prípade záujmu volajte, píšte 0905 872 096 – Ladislav Kovács, lkovacske@gmail.com
|
| |||||||||||||||||||||||||||||||
Kontaktovať inzerenta e-mailom
Kontaktovať e-mailom môže iba overený užívateľ.
Overenie je zadarmo.
Vaše telefónne číslo *
Kontaktovať e-mailom môže iba overený užívateľ.
Overenie je zadarmo.
Vaše telefónne číslo *
Podobné inzeráty
Predaj Záhrada 415m2 Červený Breh Žľaby Košice Sever, KE I - [12.11. 2025]RealityKolesár predáva záhradu 415 m2, Košice Sever, KE I
ZĽAVA 10.000,-€ Záhrada 415 m2 sa nachádza nad Botanickou záhradou v lokalite Červený Breh – Žľaby, pri bývalej lyžiarskej zjazdovke v spodnej časti kopca na kraji prvá v poradí. Pozemok je veľmi slnečný s prístupom najprv po asfaltovej ce ...
45 000 €
Košice
040 01
040 01
35 x
Označiť zlý inzerát Chybnú kategóriu Ohodnotiť užívateľa Zmazať/Upraviť/Topovať
RealityKolesár predáva pozemok 590m2 Hrašovík KE okolie - [12.11. 2025]RealityKolesár predáva pozemok 590 m2, Hrašovík, KE okolie
Pozemok 590 m2 sa nachádza v novej časti na kraji obce Hrašovík s kompletnými sieťami. Šírka pozemku 22 m hĺbka 27 m. Prístupová cesta, chodník a verejné osvetlenie sú vo výstavbe na náklady predávajúceho zakotvené v zmluve. V blízk ...
135 900 €
Košice
040 01
040 01
35 x
Označiť zlý inzerát Chybnú kategóriu Ohodnotiť užívateľa Zmazať/Upraviť/Topovať
880a Pozemky a haly v priemyselnom parku pri Košiciach - [12.11. 2025]Ponúkame Vám
- stavebné pozemky s prípojkami na všetky médiá a asfaltovou prístupovou komunikáciou. (Minimálna rozloha 1 ha.)
- pomoc pri vybavovaní územného a stavebného povolenia na Vami požadovanú halu,
- možnosť výstavby haly podľa Vašich potrieb.
Umiestnenie: okrajová časť obce smer Prešo ...
Dohodou
Košice
040 01
040 01
16 x
Označiť zlý inzerát Chybnú kategóriu Ohodnotiť užívateľa Zmazať/Upraviť/Topovať
Záhrada s chatou Myslava, Košice II, - TOP - [13.11. 2025]Ponúkame na predaj záhradu s chatkou Košice II - Myslava. Výmera pozemku je 801 m2. Na záhrade sa nachádza murovaná chatka bez súpisného čísla. Chatka je podpivničená s prístavbou. Na pozemku sa nachádza vonkajší krb, altánok a unimobunka, ktorá slúži ako sklad náradia. Výhodou je vstup na pozemok z ...
169 000 €
Košice
040 01
040 01
75 x
Označiť zlý inzerát Chybnú kategóriu Ohodnotiť užívateľa Zmazať/Upraviť/Topovať
Investičný pozemok 5 min. od Košíc, 600 m2, Košické Oľšany - [12.11. 2025]ReaL Renáta Leščinská Vám ponúka vo výhradnom zastúpení na predaj investičný pozemok v Košických Oľšanoch. Rovinatá parcela má rozlohu 600 m2 , šírku 13 m a je oplotená. Prípojky na vodovod a elektrinu sú cca 150 m od pozemku. Kanalizácia v obci je v riešení.
Videoobhliadka: https://youtu.be/nc8e ...
84 999 €
Košice
040 01
040 01
39 x
Označiť zlý inzerát Chybnú kategóriu Ohodnotiť užívateľa Zmazať/Upraviť/Topovať
Predám záhradu s chatou - Horný Bankov - [11.11. 2025]Predám /vlastník/ 5-árový /501m2/pozemok s podpivničenou chatou so súpis. číslom v krásnej lokalite Horný Bankov. Autom 10 min. do centra mesta, MHD linka č.14.
Súčasťou predaja je aj právoplatné stavebné povolenie a kompletný projekt na rozšírenie a nadstavbu chaty, kt. obsahuje architektonicko - ...
Dohodou
Košice
040 01
040 01
47 x
Označiť zlý inzerát Chybnú kategóriu Ohodnotiť užívateľa Zmazať/Upraviť/Topovať
POZEMOK KOŠICE PANORÁMA 441 m2 cena len 100 eur m2 - [11.11. 2025]Na predaj stavebný pozemok pozemok susedí z novopostaveným rodinným domom o výmere 441 m2 na Vysnom Opatskom časť Heringes. Elektricka prípojka teraz vŕtaná studňa v hodnote 7000 eur na pozemku. Stavebné práce urobené za 30 000 eur zbúranie stavby postavenie oporného múru
44 000 €
Košice
040 01
040 01
80 x
Označiť zlý inzerát Chybnú kategóriu Ohodnotiť užívateľa Zmazať/Upraviť/Topovať
Pozemok s chatkou na podnikanie aj relax | Vyšné Opátske - [11.11. 2025]Typ: Pozemok na rekreáciu
Ulica: Osiková
Obec: Košice-Vyšné Opátske
Ponúkame na predaj nehnuteľnosť vo vyhľadávanej lokalite Vyšné Opátske (Košice) – 6-árový, slnečný a upravený pozemok s nádherným panoramatickým výhľadom na mesto, ktorý v sebe spája rekreačný potenciál s výnimočnou investičnou ...
75 000 €
Košice
040 01
040 01
95 x
Označiť zlý inzerát Chybnú kategóriu Ohodnotiť užívateľa Zmazať/Upraviť/Topovať
Rezervované Predám pozemok - [11.11. 2025]Rezervované Predám pozemok záhradu v Čermeli s menšou drevenou chatkou.
Veľkosť pozemku 780 m2.
Cena dohodou.
Dohodou
Košice
040 01
040 01
50 x
Označiť zlý inzerát Chybnú kategóriu Ohodnotiť užívateľa Zmazať/Upraviť/Topovať
POZEMOK O VÝMERE 877 m2 vo VYŠNEJ KAMENICI - [10.11. 2025]Exkluzívne vám ponúkam na predaj pozemok v katastri obce Vyšná Kamenica.
Pozemok je rovinatý a nachádza na začiatku novej štvrti obce, ma výmeru 877 m2 a rozmery cca (42m X 21m)
Na pozemok je privedená: el. sieť, dátová prípojka a predpripravená prípojka na obecný vodovod.
Obec Vyšná Kameni ...
70 000 €
Košice
040 01
040 01
89 x
Označiť zlý inzerát Chybnú kategóriu Ohodnotiť užívateľa Zmazať/Upraviť/Topovať