Predam pozemok zahradku na Mihalove Bardejov
- [8.11. 2025]Zmazať/ Upraviť/ Topovať














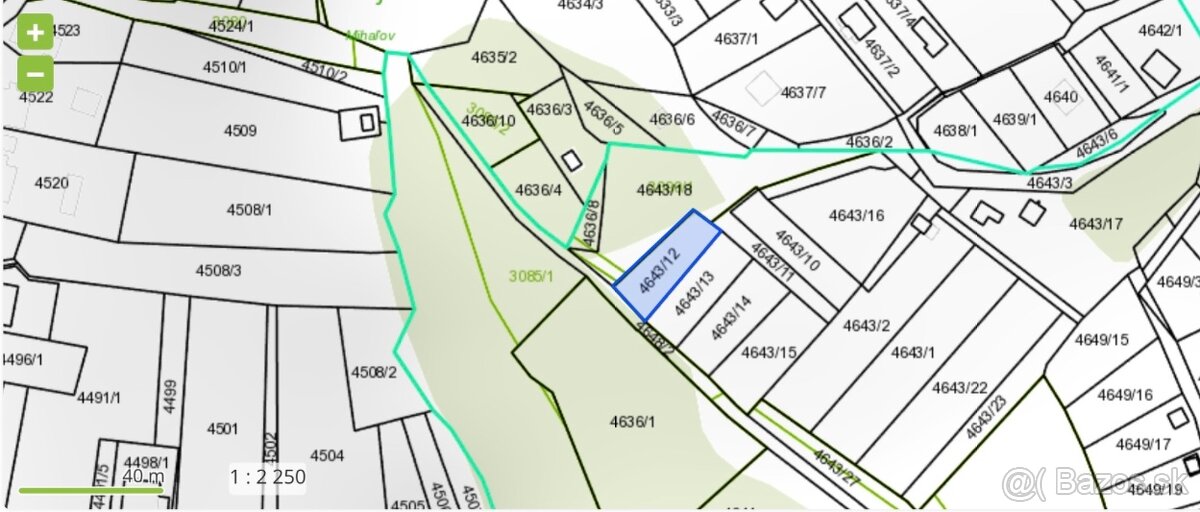
Predam pozemok o vymere 355m.
Pozemok sa nachadza sa vo vyhladavanej zahradkarskej oblasti Mihaľov v Bardejove.
Parkovat sa da na parkovisku pri zastavke ihrisko peso to je 5-8 minut chodzou.
Skvela poloha a ciste prostredie priamo v lese.
Na pozemku sa nenachadza ziadna stavba len stromy, takze novy majitel si ju vie podla vlastnych predstav zariadit.
Pozemok sa kedysi pouzival ako zahradka.
Pozemok bez ziadnej tarchy.
Moznost pripojenia na elektrinu prijazdova cesta.
Pozemok sa nachadza sa vo vyhladavanej zahradkarskej oblasti Mihaľov v Bardejove.
Parkovat sa da na parkovisku pri zastavke ihrisko peso to je 5-8 minut chodzou.
Skvela poloha a ciste prostredie priamo v lese.
Na pozemku sa nenachadza ziadna stavba len stromy, takze novy majitel si ju vie podla vlastnych predstav zariadit.
Pozemok sa kedysi pouzival ako zahradka.
Pozemok bez ziadnej tarchy.
Moznost pripojenia na elektrinu prijazdova cesta.
|
| |||||||||||||||||||||||||||||||
Kontaktovať inzerenta e-mailom
Kontaktovať e-mailom môže iba overený užívateľ.
Overenie je zadarmo.
Vaše telefónne číslo *
Kontaktovať e-mailom môže iba overený užívateľ.
Overenie je zadarmo.
Vaše telefónne číslo *