Predaj Stavebný pozemok 1181 m2 Oravská Jasenica okres Námes
- TOP - [19.11. 2025]Zmazať/ Upraviť/ Topovať






















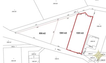
Exkluzívne ponúkame na predaj stavebný pozemok 1181 m2 nachádzajúci v obci Oravská Jasenica miestna časť Vyšná Paseka, okres Námestovo.
Na predaj sú dva stavebné pozemky o výmere 1181 m2 a 856 m2.
Pozemky sú v územnom pláne určené na výstavbu rodinných domov, s možnosťou samozásobovacej poľnohospodárskej činnosti.
Prípojky Inžinierskych sietí elektrina, vodovod a kanalizácia sú už zrealizované, alebo sa nachádzajú na hranici pozemku.
Profil pozemku je mierne svahovitý až svahovitý, prístup naň je priamo z upravenej obecnej komunikácia ktorá bude, v blízkej budúcnosti asfaltová. Verejné osvetlenie je už zrealizované.
Pozemok je parcela registra C, druh pozemku Trvalý trávny porast.
Výhody pozemku a lokality:
- Možnosť výstavby okamžite, schválené v územnom pláne.
- Okraj obce, takmer polosamota.
- Jednoduchá dostupnosť po budúcej asfaltovej ceste.
- Do okresného mesta Námestovo je to z pozemku len cca 6 km.
- V obci sa nachádza škola, škôlka, knižnica, katolícky kostol, športoviská, potraviny, pohostinstvá...
Cena stavebného pozemku je 70,-€/m2.
Energetický certifikát nie je k dispozícii.
Kompletný právny a predajný servis, plus odborné poradenstvo o možnosti financovania formou úveru a aj jeho vybavenie, je u nás zdarma.
Viac informácií vám poskytne realitný maklér.
Táto inzercia nie je verejnou ponukou na uzavretie zmluvy. Vlastník si vyhradzuje právo rozhodnúť, komu a za akých podmienok prevedie svoje vlastnícke právo. Pri tejto ponuke je možné licitovať kúpnu cenu podľa všeobecných podmienok licitácie.
Na predaj sú dva stavebné pozemky o výmere 1181 m2 a 856 m2.
Pozemky sú v územnom pláne určené na výstavbu rodinných domov, s možnosťou samozásobovacej poľnohospodárskej činnosti.
Prípojky Inžinierskych sietí elektrina, vodovod a kanalizácia sú už zrealizované, alebo sa nachádzajú na hranici pozemku.
Profil pozemku je mierne svahovitý až svahovitý, prístup naň je priamo z upravenej obecnej komunikácia ktorá bude, v blízkej budúcnosti asfaltová. Verejné osvetlenie je už zrealizované.
Pozemok je parcela registra C, druh pozemku Trvalý trávny porast.
Výhody pozemku a lokality:
- Možnosť výstavby okamžite, schválené v územnom pláne.
- Okraj obce, takmer polosamota.
- Jednoduchá dostupnosť po budúcej asfaltovej ceste.
- Do okresného mesta Námestovo je to z pozemku len cca 6 km.
- V obci sa nachádza škola, škôlka, knižnica, katolícky kostol, športoviská, potraviny, pohostinstvá...
Cena stavebného pozemku je 70,-€/m2.
Energetický certifikát nie je k dispozícii.
Kompletný právny a predajný servis, plus odborné poradenstvo o možnosti financovania formou úveru a aj jeho vybavenie, je u nás zdarma.
Viac informácií vám poskytne realitný maklér.
Táto inzercia nie je verejnou ponukou na uzavretie zmluvy. Vlastník si vyhradzuje právo rozhodnúť, komu a za akých podmienok prevedie svoje vlastnícke právo. Pri tejto ponuke je možné licitovať kúpnu cenu podľa všeobecných podmienok licitácie.
|
| |||||||||||||||||||||||||||||||
Kontaktovať inzerenta e-mailom
Kontaktovať e-mailom môže iba overený užívateľ.
Overenie je zadarmo.
Vaše telefónne číslo *
Kontaktovať e-mailom môže iba overený užívateľ.
Overenie je zadarmo.
Vaše telefónne číslo *

