Na predaj stavebný pozemok na výstavbu haly s vydaným SP
- [31.10. 2025]Zmazať/ Upraviť/ Topovať














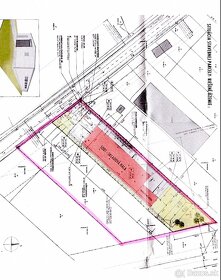
Ponúkame Vám na predaj stavebný pozemok o výmere 3064 m2 s vydaným stavebným povolením na výrobnú halu o výmere cca 400 m2. Pozemok je široký 40 m. Hala je umiestnená len v lavej polovici pozemku, je priestor aj na ďalšiu výstavbu.Vydané je právoplatné stavebné povolenie, možné ihneď začať stavať.
|
| |||||||||||||||||||||||||||||||
Kontaktovať inzerenta e-mailom
Kontaktovať e-mailom môže iba overený užívateľ.
Overenie je zadarmo.
Vaše telefónne číslo *
Kontaktovať e-mailom môže iba overený užívateľ.
Overenie je zadarmo.
Vaše telefónne číslo *