Stavebné pozemky v Kanaši malá aj väčšia rozloha (F551-14-A
- TOP - [2.11. 2025]Zmazať/ Upraviť/ Topovať






Typ: Pozemky - bytová výstavba
Obec: Veľký Šariš
F551-14-ANMi
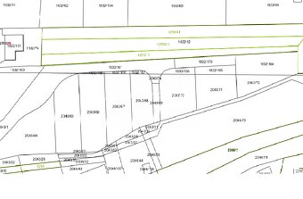
3 stavebné rovinaté pozemky za výhodné ceny uprostred zastavanej časti obce KN V. Šariš (v blízkosti les, na dohľad "Stráž"). Výmery 823m2, 650m2, 842m2. V obci sú všetky IS - voda, kanál, el. aj plyn. Ide o riadne stavebné pozemky. Možnosť kúpiť jeden, alebo aj všetky tri, ktoré spolu susedia. Šírka jedného pozemku cca 17 x 43m. V prípade záujmu dohodneme obhliadku a zabezpečíme celkový právny servis.
Kontakt: 0918709021
Cena od 81000€
Status: aktívne
Vlastníctvo: osobné
Plocha pozemku: 782 m2
Kanalizácia: Verejná kanalizácia
Obec: Veľký Šariš
F551-14-ANMi
3 stavebné rovinaté pozemky za výhodné ceny uprostred zastavanej časti obce KN V. Šariš (v blízkosti les, na dohľad "Stráž"). Výmery 823m2, 650m2, 842m2. V obci sú všetky IS - voda, kanál, el. aj plyn. Ide o riadne stavebné pozemky. Možnosť kúpiť jeden, alebo aj všetky tri, ktoré spolu susedia. Šírka jedného pozemku cca 17 x 43m. V prípade záujmu dohodneme obhliadku a zabezpečíme celkový právny servis.
Kontakt: 0918709021
Cena od 81000€
Status: aktívne
Vlastníctvo: osobné
Plocha pozemku: 782 m2
Kanalizácia: Verejná kanalizácia
|
| |||||||||||||||||||||||||||||||
Kontaktovať inzerenta e-mailom
Kontaktovať e-mailom môže iba overený užívateľ.
Overenie je zadarmo.
Vaše telefónne číslo *
Kontaktovať e-mailom môže iba overený užívateľ.
Overenie je zadarmo.
Vaše telefónne číslo *