Na predaj 3 parcely v k.ú. Kynceľová (Banská Bystrica)
- [19.10. 2025]Zmazať/ Upraviť/ Topovať






Predám 3 parcely v k.ú. Kynceľová (Banská Bystrica)
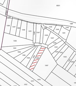
Predám 3 parcely registra „C“ v katastrálnom území Kynceľová (okres Banská Bystrica).
Tieto parcely vznikli po nedávnom sceľovaní v tomto katastrálnom území.
Jedná sa o nasledovné parcely:
- Parcela č. 1008 (1932m2 – trvalý trávnatý porast)
- Parcela č. 1009 (484m2 – orná pôda)
- Parcela č. 1366 (950m2 – trvalý trávnatý porast)
Parcely 1008 a 1009 sa nachádzajú za sebou a zjednotení môžu tvoriť jednu samostatnú parcelu o výmere 2416m2. Tieto parcely sa nachádzajú na hranici s k.ú. Sásová, neďaleko hranice s k.ú. Nemce.
Parcela 1366 sa nachádza pri hlavnom ťahu zo Sásovej, smer od SOŠ k cintorínu Kynceľová.
Všetky 3 parcely sú na jednom LV.
Cenu ponúknite.
Predám 3 parcely registra „C“ v katastrálnom území Kynceľová (okres Banská Bystrica).
Tieto parcely vznikli po nedávnom sceľovaní v tomto katastrálnom území.
Jedná sa o nasledovné parcely:
- Parcela č. 1008 (1932m2 – trvalý trávnatý porast)
- Parcela č. 1009 (484m2 – orná pôda)
- Parcela č. 1366 (950m2 – trvalý trávnatý porast)
Parcely 1008 a 1009 sa nachádzajú za sebou a zjednotení môžu tvoriť jednu samostatnú parcelu o výmere 2416m2. Tieto parcely sa nachádzajú na hranici s k.ú. Sásová, neďaleko hranice s k.ú. Nemce.
Parcela 1366 sa nachádza pri hlavnom ťahu zo Sásovej, smer od SOŠ k cintorínu Kynceľová.
Všetky 3 parcely sú na jednom LV.
Cenu ponúknite.
|
|
Kontaktovať inzerenta e-mailom
Kontaktovať e-mailom môže iba overený užívateľ.
Overenie je zadarmo.
Vaše telefónne číslo *
Kontaktovať e-mailom môže iba overený užívateľ.
Overenie je zadarmo.
Vaše telefónne číslo *