PREDAJ Chata s veľkým vysporiadaným pozemkom (508 m2) Dubina
- [18.10. 2025]Zmazať/ Upraviť/ Topovať























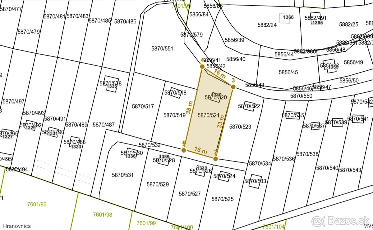
Ponúkame Vám na predaj rekreačnú chatu s veľkým slnečným pozemkom (508m2) na Dubine II - Hranovnica.
Pozemok ako aj chata je v osobnom vlastníctve a vedú k nemu dve pekné a ľahko prístupné príjazdové cesty.
Popis pozemku:
- nachádza sa v najkrajšej časti Dubiny
- rozloha pozemku 508 m2 (cca 15m široký a 34m dlhý)
- osobné vlastníctvo
- dve ľahko prístupné príjazdové cesty s podielovým vlastníctvom
- možnosť zastavania pozemku 10%, čo je 51 m2 pôdorys chaty, poschodie nie je obmedzené
- na pozemku sa nachádza elektrická prípojka
- orientácia - južná
Rekreačná chata:
- murovaná, zapísaná na liste vlastníctva
- 3 poschodia
- prízemie: kuchynka, 2 krát špajza, miestnosť s krbom a posedením
- 1. poschodie: spálňa s manželskou posteľou a balkónom
- 2. poschodie: miestnosť
- v chate je zavedená elektrina
- v chate nie je zavedená voda (potrebné vykopať studňu)
Výhody nehnuteľnosti:
- ideálne miesto na odpočinok
- veľký pozemok s možnosťou zastavania až 51 m2
- výborné príjazdové cesty z obidvoch strán
Cena: 64 900,- EUR
Kompletný právny a predajný servis, odborné poradenstvo o možnosti financovania úveru a aj jeho vybavenia zdarma.
Viac info: Mgr. Ľuboš Lištinský 0914 111 999
Pozemok ako aj chata je v osobnom vlastníctve a vedú k nemu dve pekné a ľahko prístupné príjazdové cesty.
Popis pozemku:
- nachádza sa v najkrajšej časti Dubiny
- rozloha pozemku 508 m2 (cca 15m široký a 34m dlhý)
- osobné vlastníctvo
- dve ľahko prístupné príjazdové cesty s podielovým vlastníctvom
- možnosť zastavania pozemku 10%, čo je 51 m2 pôdorys chaty, poschodie nie je obmedzené
- na pozemku sa nachádza elektrická prípojka
- orientácia - južná
Rekreačná chata:
- murovaná, zapísaná na liste vlastníctva
- 3 poschodia
- prízemie: kuchynka, 2 krát špajza, miestnosť s krbom a posedením
- 1. poschodie: spálňa s manželskou posteľou a balkónom
- 2. poschodie: miestnosť
- v chate je zavedená elektrina
- v chate nie je zavedená voda (potrebné vykopať studňu)
Výhody nehnuteľnosti:
- ideálne miesto na odpočinok
- veľký pozemok s možnosťou zastavania až 51 m2
- výborné príjazdové cesty z obidvoch strán
Cena: 64 900,- EUR
Kompletný právny a predajný servis, odborné poradenstvo o možnosti financovania úveru a aj jeho vybavenia zdarma.
Viac info: Mgr. Ľuboš Lištinský 0914 111 999
|
| |||||||||||||||||||||||||||||||
Kontaktovať inzerenta e-mailom
Kontaktovať e-mailom môže iba overený užívateľ.
Overenie je zadarmo.
Vaše telefónne číslo *
Kontaktovať e-mailom môže iba overený užívateľ.
Overenie je zadarmo.
Vaše telefónne číslo *


