RealityKolesár predáva pozemok 543m2 Bidovce KE okolie
- [4.10. 2025]Zmazať/ Upraviť/ Topovať



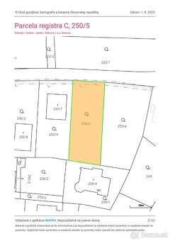
RealityKolesár predáva pozemok 543 m2, Bidovce, KE okolie
Pozemok 543 m2 sa nachádza v starej časti medzi domami v obci Bidovce s elektrickou prípojkou na pozemku, na ceste sa nachádza kanál aj vodovod. Šírka pozemku 16 m hĺbka 34 m. Do centra obce je kúsok.
Cena: 84.900,-€. V prípade záujmu volajte, píšte 0905 872 096 – Ladislav Kovács, lkovacske@gmail.com
Pozemok 543 m2 sa nachádza v starej časti medzi domami v obci Bidovce s elektrickou prípojkou na pozemku, na ceste sa nachádza kanál aj vodovod. Šírka pozemku 16 m hĺbka 34 m. Do centra obce je kúsok.
Cena: 84.900,-€. V prípade záujmu volajte, píšte 0905 872 096 – Ladislav Kovács, lkovacske@gmail.com
|
|
Kontaktovať inzerenta e-mailom
Kontaktovať e-mailom môže iba overený užívateľ.
Overenie je zadarmo.
Vaše telefónne číslo *
Kontaktovať e-mailom môže iba overený užívateľ.
Overenie je zadarmo.
Vaše telefónne číslo *
Podobné inzeráty

RealityKolesár predáva záhradu 415 m2, Košice Sever, KE I
ZĽAVA 10.000,-€ Záhrada 415 m2 sa nachádza nad Botanickou záhradou v lokalite Červený Breh – Žľaby, pri bývalej lyžiarskej zjazdovke v spodnej časti kopca na kraji prvá v poradí. Pozemok je veľmi slnečný s prístupom najprv po asfaltovej ce ...
45 000 €
Košice
040 01
040 01
162 x
Označiť zlý inzerát Chybnú kategóriu Ohodnotiť užívateľa Zmazať/Upraviť/Topovať

Exkluzívne Vám ponúkame na predaj stavebný pozemok s výmerou 623 m² v obci Haniska pri Košiciach. Pozemok má rozmery cca 36 x 17 m a ponúka výnimočné možnosti pre výstavbu Vášho vlastného domova podľa Vašich predstáv.
Parcela je aktuálne nezastavaná. To dáva budúcim majiteľom možnosť plnej kre ...
99 999 €
Košice
040 01
040 01
201 x
Označiť zlý inzerát Chybnú kategóriu Ohodnotiť užívateľa Zmazať/Upraviť/Topovať

Hľadáte pokoj, kľud, ticho od mestského zhonu, stresu a náhlenia? Ste kutil a máte rád oddych s trochou fyzickej práce? Tomisreal má pre Vás na predaj v záhradkárskej oblasti Račí potok pozemok o rozlohe 371 m2 s 3 ročnou drevenou chatkou. Chatka je vybavená kuchynským kútom, sedačkou so stolíkom.
...
51 000 €
Košice
040 01
040 01
194 x
Označiť zlý inzerát Chybnú kategóriu Ohodnotiť užívateľa Zmazať/Upraviť/Topovať

Spoločnosť Impulz Real s.r.o. a Ing. Denis Konovalov Vám exkluzívne predstavujú:
Na predaj pozemok, ktorý sa nachádza v lokalite Košice - Juh. Pozemok je možné využiť pre polyfunkčnú výstavbu. Nachádza sa neďaleko hlavného ťahu, vďaka ktorému je možné vytvoriť komfortný prístup k plánovanej komer ...
Dohodou
Košice
040 01
040 01
292 x
Označiť zlý inzerát Chybnú kategóriu Ohodnotiť užívateľa Zmazať/Upraviť/Topovať

predám ornú pôdu v extraviláne obce Svinica s celkovou výmerou 25058 m2 s prístupom po obecnej nespevnenej ceste v osobnom vlastníctve. Parcela je v geotermálnej lokalite a podľa územného plánu obce /viď. priložené foto/ je dobrou investíciou do budúcej realizácie zámerov v zmysle ÚP obce Svinica.Je ...
V texte
Košice
040 01
040 01
314 x
Označiť zlý inzerát Chybnú kategóriu Ohodnotiť užívateľa Zmazať/Upraviť/Topovať

Na predaj stavebný pozemok pozemok susedí z novopostaveným rodinným domom o výmere 441 m2 na Vysnom Opatskom časť Heringes. Elektricka prípojka teraz vŕtaná studňa v hodnote 7000 eur na pozemku. Stavebné práce urobené za 23 000 eur zbúranie stavby postavenie oporného múru
Možnosť kúpiť aj s domče ...
44 000 €
Košice
040 01
040 01
349 x
Označiť zlý inzerát Chybnú kategóriu Ohodnotiť užívateľa Zmazať/Upraviť/Topovať

Typ: Pozemok pre rodinné domy
Ulica: Železiarska
Obec: Košice-Obec Ťahanovce
Stavebný pozemok v lokalite obec Ťahanovce, na pokojnej ulici Železiarska. Jedná sa o veľký a široký pozemok. Výmera pozemku je 759 m2. Na pozemku je vlastná studňa, pred pozemkom je elektrická, plynová, vodovodná a ka ...
152 000 €
Košice
040 01
040 01
326 x
Označiť zlý inzerát Chybnú kategóriu Ohodnotiť užívateľa Zmazať/Upraviť/Topovať

Ponúkame na predaj priestranný pozemok s výmerou 740m² v obľúbenej mestkej časti KRÁSNA v Košiciach. Tento pozemok je ideálnym miestom na oddych, pestovanie ovocia alebo na trávenie času s rodinou a priateľmi.
Základné informácie:
Pozemok sa nachádza na ulici Pri Hornáde.
Prístupová cesta: ...
Dohodou
Košice
040 01
040 01
297 x
Označiť zlý inzerát Chybnú kategóriu Ohodnotiť užívateľa Zmazať/Upraviť/Topovať

Ponúkam na predaj záhradný pozemok - záhradu o rozlohe 361 m2 v OSOBNOM VLASTNÍCTVE, na Textilnej ul. Košice/Nad Jazerom v blízkosti Labas (farebne vyznačenú na mapke).
Parcela je ROVINATÁ,lichobežníkového tvaru, celoročne prístupná asfaltová-mestská cesta, následne cca.100m spevnená s podielovým ...
53 000 €
Košice
040 01
040 01
340 x
Označiť zlý inzerát Chybnú kategóriu Ohodnotiť užívateľa Zmazať/Upraviť/Topovať

Ponúkame Vám
- stavebné pozemky s prípojkami na všetky médiá a asfaltovou prístupovou komunikáciou. (Minimálna rozloha 1 ha.)
- pomoc pri vybavovaní územného a stavebného povolenia na Vami požadovanú halu,
- možnosť výstavby haly podľa Vašich potrieb.
Umiestnenie: okrajová časť obce smer Prešo ...
Dohodou
Košice
040 01
040 01
28 x
Označiť zlý inzerát Chybnú kategóriu Ohodnotiť užívateľa Zmazať/Upraviť/Topovať