RealityKolesár predáva pozemok 543 m2, Bidovce, KE okolie
- [18.9. 2025]Zmazať/ Upraviť/ Topovať



RealityKolesár predáva pozemok 543 m2, Bidovce, KE okolie
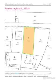
Pozemok 543 m2 sa nachádza v starej časti medzi domami v obci Bidovce s elektrickou prípojkou na pozemku, na ceste sa nachádza kanál aj vodovod. Šírka pozemku 16 m hĺbka 34 m. Do centra obce je kúsok.
Cena: 84.900,-€. V prípade záujmu volajte, píšte 0905 872 096 – Ladislav Kovács, lkovacske@gmail.com
Pozemok 543 m2 sa nachádza v starej časti medzi domami v obci Bidovce s elektrickou prípojkou na pozemku, na ceste sa nachádza kanál aj vodovod. Šírka pozemku 16 m hĺbka 34 m. Do centra obce je kúsok.
Cena: 84.900,-€. V prípade záujmu volajte, píšte 0905 872 096 – Ladislav Kovács, lkovacske@gmail.com
|
|
Kontaktovať inzerenta e-mailom
Kontaktovať e-mailom môže iba overený užívateľ.
Overenie je zadarmo.
Vaše telefónne číslo *
Kontaktovať e-mailom môže iba overený užívateľ.
Overenie je zadarmo.
Vaše telefónne číslo *