Slnečné stavebné pozemky - 4078 m2 - Nitrianske Pravno
- [14.9. 2025]Zmazať/ Upraviť/ Topovať












Investičná príležitosť pre developerov !
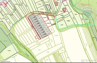
Ponúkame Vám na predaj slnečné rovinaté pozemky aj s prístupovými cestami s celkovou rozlohou 4078 m2 s priemernou cenou 60,- Eur/m2.
Pozemky sú určené na výstavbu rodinných domov, nachádzajú sa v novovznikajúcej lokalite, v tichej ulici mimo hlavnej cesty v obci Nitrianske Pravno.
Inžinierske siete – voda a elektrina, sú vo vzdialenosti cca 200 m od hranice pozemku.
Ponuka je určená pre developera, ktorý zabezpečí realizáciu inžinierskych sietí a následnú výstavbu.
K dispozícii je hotový projekt na realizáciu elektrických prípojok pre všetky parcely.
Odpad je potrebné riešiť žumpou.
Rozmery pozemku ponúkajú dostatok miesta pre výstavbu domu, ako aj pre záhradu, poskytujúcu miesto pre aktívny aj pasívny oddych celej rodiny.
Obec Nitrianske Pravno je vzdialené 12 km od okresného mesta Prievidza a kúpeľného mesta Bojnice.
V rámci občianskej vybavenosti Vám obec poskytne všetko, čo potrebujete pre malých aj veľkých členov Vašej rodiny.
Tak neváhajte a kontaktujte nás.
Ponúkame Vám na predaj slnečné rovinaté pozemky aj s prístupovými cestami s celkovou rozlohou 4078 m2 s priemernou cenou 60,- Eur/m2.
Pozemky sú určené na výstavbu rodinných domov, nachádzajú sa v novovznikajúcej lokalite, v tichej ulici mimo hlavnej cesty v obci Nitrianske Pravno.
Inžinierske siete – voda a elektrina, sú vo vzdialenosti cca 200 m od hranice pozemku.
Ponuka je určená pre developera, ktorý zabezpečí realizáciu inžinierskych sietí a následnú výstavbu.
K dispozícii je hotový projekt na realizáciu elektrických prípojok pre všetky parcely.
Odpad je potrebné riešiť žumpou.
Rozmery pozemku ponúkajú dostatok miesta pre výstavbu domu, ako aj pre záhradu, poskytujúcu miesto pre aktívny aj pasívny oddych celej rodiny.
Obec Nitrianske Pravno je vzdialené 12 km od okresného mesta Prievidza a kúpeľného mesta Bojnice.
V rámci občianskej vybavenosti Vám obec poskytne všetko, čo potrebujete pre malých aj veľkých členov Vašej rodiny.
Tak neváhajte a kontaktujte nás.
|
| |||||||||||||||||||||||||||||||
Kontaktovať inzerenta e-mailom
Kontaktovať e-mailom môže iba overený užívateľ.
Overenie je zadarmo.
Vaše telefónne číslo *
Kontaktovať e-mailom môže iba overený užívateľ.
Overenie je zadarmo.
Vaše telefónne číslo *